甲斐市龍地の平屋×中庭 見学会&販売会。
TOP | 不動産情報 | 詳細情報 売地 | 下飯田2丁目売地

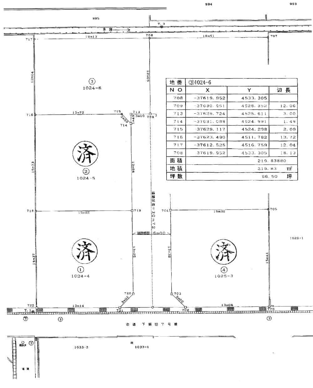
甲府市下飯田2丁目

売地

所在地 甲府市下飯田2丁目
価格 1330万円
交通の利便 甲府城西高校バス停徒歩9分
土地面積 公簿219.83㎡(66.50坪)
用途地域 第一種住居
地目 宅地
建蔽率/容積率 60/200
都計法その他の制限 景観法
設備 上水道 下水道
学区 池田小学校750m 甲府西中学校1000m
備考  
取引態様 媒介(仲介)
情報登録日 2019年11月24日

下飯田2丁目
下飯田2丁目

下から資料ダウンロードできます。
物件概要 ⇒ 物件概要書(下2.pdf

| 1 | 2 | 3 | 4 | 5 | 6 | 7 | 8 | 9 | 10 | 11 | 12 | 13 | 14 |

株式会社サンホーム
山梨県甲斐市万才751番1
山梨県知事(12)第906号
(公社)山梨県宅地建物取引業協会会員
(公社)首都圏不動産公正取引協議会加盟